 |
| early morning start for our Balicasag Journey |
Our day started quite early as our tour guide told us that we had to be at the dolphin watching area by 7 AM. Based on previous experiences with dolphins and whale sharks, we knew beforehand that once the water heats up as the sun rises, they move deeper into the sea, where it's much colder. and where we won't be able to see them, unless we're diving.
Luckily, our hotel, Henann, packed for us heavy portions of Filipino and English breakfast plus drinks, at no extra cost.
 |
| beautiful day to go sailing |
We met our tour guide at Alona Beach, Panglao in Bohol. There are a lot of them offering mostly the same stuff offered at the resorts. It's up to you to haggle and get the best price there is.
 |
| pushing out to sea at the crack of dawn |
Here's a rundown of the prices originally quoted to us by our guide, what it would have cost us and what we paid after all the haggling. I must inform you though that I put the "HAG" in haggling :).
10 pax 2850 - boat rental, with 2 boatmen. There were 10 adults and 3 kids in our group.
snorkel rentals P150 /pax = 750
shoe hire P100/pax = 700
Entrance Fee to Marine Sanctuary /Life Guard Fee (didn't see one in the area, except for our own guides) P100/pax = 900
Swimming with the Sea Turtles (boat rental + boatman fee): P200/pax = 1000
Lunch: approximately P300 pesos per head.
 |
| the boat we rented out and its crew |
The itinerary included the round trip boat ride from (a) Alona Beach in Panglao Island to Balicasag Island and vice versa; (b) dolphin watching in the bohol sea; (c) snorkeling at the Marine Sanctuary; (d) swimming with the sea turtles (pawikan). We were suppose to pass by the Virgin Island (a long sandbar on the way back to Alona, but the kids were too pooped to party). There are also giant clams in Balicasag and great dive spots.
 |
| aside from catching the dolphins when you sale early, the waves are much gentler too in the mornings |
I think we paid around 3000 php for lunch and around 4000 php total for the whole adventure after all the haggling. At a little over 500 pesos/pax for the food, boat rides, rentals and entrance fees, it was quite cost effective given the fact that we were there during the peak season.
 |
| we saw several pods of dolphins that day |
20 minutes from Alona Beach, our boat slowed down and soon enough, we were chasing wild dolphins. The experience NEVER gets old!!
 |
| Around 8-ish in the morning, we caught our first glimpse of Balicasag |
 |
| docking at Balicasag |
For those who who don't plan on renting out aqua/swim shoes, think again. The beautiful island is a marine sanctuary, unspoiled with nature allowed to grow wild. The reef will cut you should your flip flops come off. As you can see in the pic above, getting off the boat takes a little more caution as the stones are also slippery. Shoes are a must to those who aren't familiar with the island's terrain.
 |
| our big group |
If you were like yours truly and are most likely to bring extra clothes and towels, extra food and drinks, not to mention swimming gear (we brought our Easy Breathe masks which aren't as light as snorkels) and toiletries, don't you worry about where to store your stuff. The boatmen are usually related to the islanders, who have, in turn, made make shift "cottages" and restaurants on the island. We ended up leaving our stuff on that wooden table pictured above.
 |
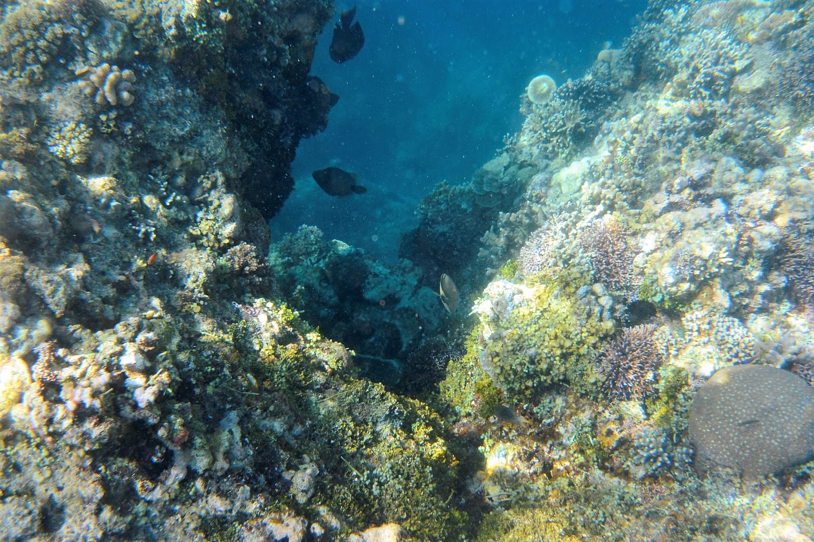
| a shallow reef teeming with marine life, followed by a sudden drop into a watery abyss that has bigger marine life hidden under its depths |
|
First up after we got ourselves sorted out in Balicasag, was going to the marine sanctuary.
 |
| our boatman takes us out to the reef |
|
Walking a short distance down to the beach, our boatmen took us to smaller boats and paddled us off us a short distance away. The corals were indeed teeming with life. Do watch your step as the waves may carry you off to taller corals that could cut you. Yes. I speak from experience.
 |
| it's a (coral) jungle out there! |
 |
| the shallows have a lot of these fellas and their bigger counterparts swimming around . Buy some bread from the store at the shore and be swarmed as you feed 'em |
 |
| at the end of the reef, you will see this sudden drop. Even though we were equipped with life vests, my acrophobia kicked in as I looked over the edge. For sure, I've been in deep water before, but stepping over the edge is literally a leap of faith in my book |
Luckily, our boatman and Phil didn't have my issues, and dove under to take these spectacular shots:
The water in the area is quite buoyant. Our little swimmer MAX, took off his life vest and insisted on swimming after his dad, who was, at that moment, chasing/swimming towards a 5 feet long sea turtle.
 |
| MAX getting a scolding for his refusal to wear his life jacket |
 |
| Dad cut him some slack..besides, he does know how to swim. I just worry too much given that it's open water :p |
|
|
After all the activities at the Marine Sanctuary area, we were starving! Lunch was selected off a menu before we went swimming. We had grilled pork, fresh fish ceviche ( fish so fresh, it was caught in the surrounding waters after we ordered it), pinakbet (veggies), soda, rice and one more viand I can't seem to remember.
 |
| MAX asking Papa to save him from the fishies ticking his toes |
After lunch, it was time to go see the sea turtles in their watery feeding grounds. Another paddle boat took us to another side of the island. Unfortunately for us, we have nothing to show for that part of the trip as all our batteries were drained at this point. Still, it was always my dream to see sea turtles in their natural habitat. Our 30 minute stay in that side of the island allowed us to see, happily swimming around (one beside and under out boat even), 3 or 4 turtles.
Before we knew it, we were back on our bigger boat and headed back to Alona beach. For the curious, the paid public bathrooms in Balicasag were too rustic for my taste. If you gotta go, you gotta go, but if you could hold it in, do so. For showers, just do take one when you get back to your hotel.
Soda, water, chips, shampoo and what have you are sold in small stores in the island. They will cost you an arm and a leg, but you really have no where else to buy. The locals also sell trinkets - souvenir items, coral and pearl jewelry and many more. Haggle away :) I got a good deal on a set of turquoise blue coral bead jewelry.
 |
| luckily, Hennan Resort had a nurse and a clinic in their facilities. Got my cuts treated, but I still have the dark spots on my legs from the cuts :P |
We had the time of our lives, and would probably revisit the place if given the chance in the future. Yes, it was lovely! A must see if you're going to Bohol!
From
TMW, may all your wanderings be better than ours!!!